- ホーム
- 検索一覧
- 物件詳細
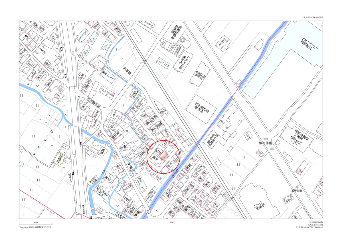
【売土地】松阪市塚本町字堂ノ前2番12
鈴の音バス「イオンタウン松阪船江停」約800m徒歩約11分 近鉄線「松ヶ崎駅」約600m徒歩約9分 |
||||
|---|---|---|---|---|
| 交通 所在地 |
販売価格 | 土地面積 用途地域 |
物件種別 取引態様 |
|
鈴の音バス「イオンタウン松阪船江停」約800m徒歩約11分 松阪市塚本町字堂ノ前2番12 |
573.48万円 |
177㎡ 第1種住居地域 |
売土地 売主 |
|
物件情報詳細
| 土地権利 | 所有権 | 土地面積 | 177㎡ |
|---|---|---|---|
| 私道負担面積 | -㎡ | 都市計画 | 市街化区域 |
| 接道状況 | 南東側幅員約5.3mの公衆用道路に 間口約13.9m接する。 | 地目 | 雑種地 |
| 用途地域 | 第1種住居地域 | 建ぺい率/容積率 | 60% /200% |
| 学校区 | 松江小学校 ・ 西中学校 | 建築条件 | |
| 引渡 | 相談 | 現況 | 更地 |
| 詳細 | 松阪市公営上水道・浄化槽・中部電力・都市ガス・前面道路側溝
【上水道】 前面道路埋設市本管口径φ150㎜より、敷地内管口径φ20㎜引込があります。 【下水道】 令和7年12月時点においては認可区域外の為、整備時期等は未定です。 【ガス】 前面道路に都市ガスの本管が埋設されている為、希望に合わせて引込も可能です。 |
||
所在地までの交通機関
- ■所在地松阪市塚本町字堂ノ前2番12
- ■交通機関1鈴の音バス「イオンタウン松阪船江停」約800m徒歩約11分
- ■交通機関2近鉄線「松ヶ崎駅」約600m徒歩約9分
- ■交通機関3


